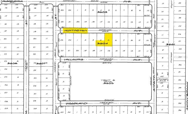
10455 HUNTINGTON AVENUE, Englewood, FL 34224
Land
Built in ——
9,583sqft lot
—— car garage
$——/sqft
Listed 11 months ago
Property Description
Invest in your future or build your Florida dream home! Central water and electric are available! Not in a flood zone so when you build your new home your lender will not require flood insurance. Lot is currently located in Scrub Jay habitat, which means that at time of permitting, an additional $4,000 will be due.(Please reconfirm during due diligence to see if anything has changed). This property is located in East Englewood, with easy access to Farmers market, golf courses, marinas, great restaurants and just a short drive to area beaches! Don't let this one get away!
- Listing Status:
- Active
- Date Added:
- January 8, 2025 at 06:00AM
- Listing Office:
- RE/MAX ALLIANCE GROUP : 941-473-8484
- Listing Agent:
- Kathy Damewood : 941-321-7355
- MLS ID:
- D6139883

- Zoning: RSF3.5PORT CHARLOTTE SEC62 BLK 3604 LT 5412002277006
- Current Use: Unimproved
- Utilities: Electricity AvailablePhone AvailableWater Available
- Water: Public
- Sewer: Septic Needed
- Source: Stellar MLS
- Ownership: Fee Simple
This listing courtesy of Kathy Damewood, RE/MAX ALLIANCE GROUP
Monthly Payment
- Principal & Interest $
- Property Taxes $
- Home Insurance $
- VA Funding Fee $
Location
Schools Nearby
Myakka River Elementary School
12650 Willmington Blvd, Port Charlotte, FL, 33981
Grades PK-5
2.39 miles away
L. A. Ainger Middle School
245 Cougar Way, Rotonda West, FL, 33947
Grades 6-8
2.06 miles away
Lemon Bay High School
2201 Placida Rd, Englewood, FL, 34224
Grades 9-12
3.72 miles away






